People
Energy
Compressed Natural Gas Facilities
Orlando Energy Solutions
Blue Beetle III Solar Energy
Puerto Rico Electric Power Authority
EcoElectrica LNG Cogeneration Plant
Infrastructure
Rehabilitation & Repair of Waste Water System
Municipality of Caguas Infrastructure Program
PRASA Operations and Maintenance Facility
Satour
Civil
Taxiway Rehabilitation Project
Revitalization of Manuel A. Perez
Commercial
La Familia Pawn Shop
Sams Club
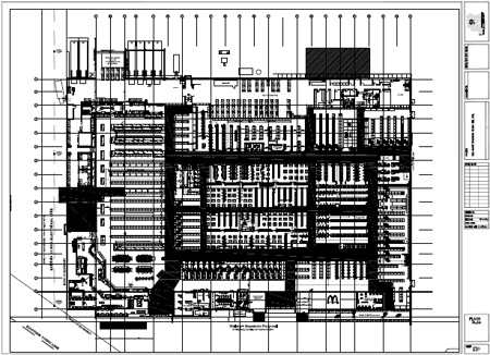
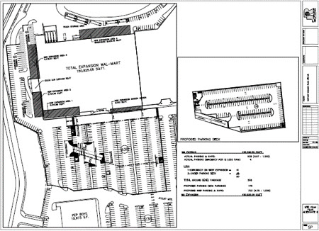
Walmart Supercenter Expansion Humacao
Walmart Supercenter Expansion Bayamon
Institutional
Airport Rescue and Fire Fighting Station
American Recovery and Reinvestment Act
Hospitality
Caribe Hotel
Guaicamacuto Hotel
info@jrtechgroup.com
Walmart of Puerto Rico
Walmart Supercenter Expansion
Bayamón, Puerto Rico
Walmart Puerto Rico
JR Technical & Development, Inc.
Preliminary cost estimates for a Walmart Supercenter expansion and new parking facilities at Plaza del Sol Mall
prev
next
3 - 3
close
©2014-2018 JR Technical and Development, Inc.
Designed by